Mundo Mueren dos niñas por crecida de un río tras los efectos indirectos del huracán Melissa en Panamá 28 octubre 2025
Destacado EE.UU. atacó otras cuatro «narcolanchas» en el Pacífico: 14 muertos y un sobreviviente 28 octubre 2025
Mundo Trasladan 42 cuerpos de una fosa común en Gaza al Hospital Shifa para identificarlos 28 octubre 2025
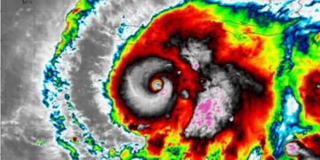
Mundo El huracán Melissa, de categoría 5, azota Jamaica con vientos y lluvias devastadores 28 octubre 2025
Mundo Misión de la UE promete observación “exhaustiva y profunda” en las elecciones hondureñas 27 octubre 2025
Mundo Presidente interino de Perú inicia mandato con 45 % de aceptación y 42 % de desaprobación 27 octubre 2025
Destacado El portaaviones Gerald Ford ya está en camino al Caribe y podría llegar en una semana 27 octubre 2025
Destacado Dos aviones bombarderos estratégicos B-1B de EE.UU. volaron cerca de Caracas 27 octubre 2025
Navegantes del Magallanes impone su ley ante Leones del Caracas en el primer clásico del año 30 octubre 2025
El portero del Inter de Milán Josep Martínez es investigado por homicidio imprudente en Italia 28 octubre 2025
Paraguay declarará como organizaciones terroristas al Comando Vermelho y el PCC de Brasil 30 octubre 2025
Unicef: Hay más de 700.000 menores afectados por el paso del huracán Melissa en el Caribe 30 octubre 2025
Los príncipes de Gales ganan el juicio contra revista francesa por publicar fotos privadas 30 octubre 2025
Avión de Gustavo Petro no pudo abastecer combustible en Madrid debido a sanciones de la OFAC 30 octubre 2025