` El huracán Melissa, de categoría 5, azota Jamaica con vientos y lluvias devastadores - Monitoreamos
Monitoreamos
  • Inicio
  • Presidenciales
  • Venezuela
  • Mundo
  • Negocios
  • Entretenimiento
  • Salud
  • Tecnología
  • Deporte
Sin resultados
Ver todos los resultados
Monitoreamos
Sin resultados
Ver todos los resultados

Portada » El huracán Melissa, de categoría 5, azota Jamaica con vientos y lluvias devastadores

El huracán Melissa, de categoría 5, azota Jamaica con vientos y lluvias devastadores

Redacción MonitoreamosporRedacción Monitoreamos
28 octubre 2025
en Mundo
0
0
COMPARTIDO
FacebookTwitterWhatsapp

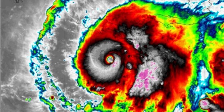
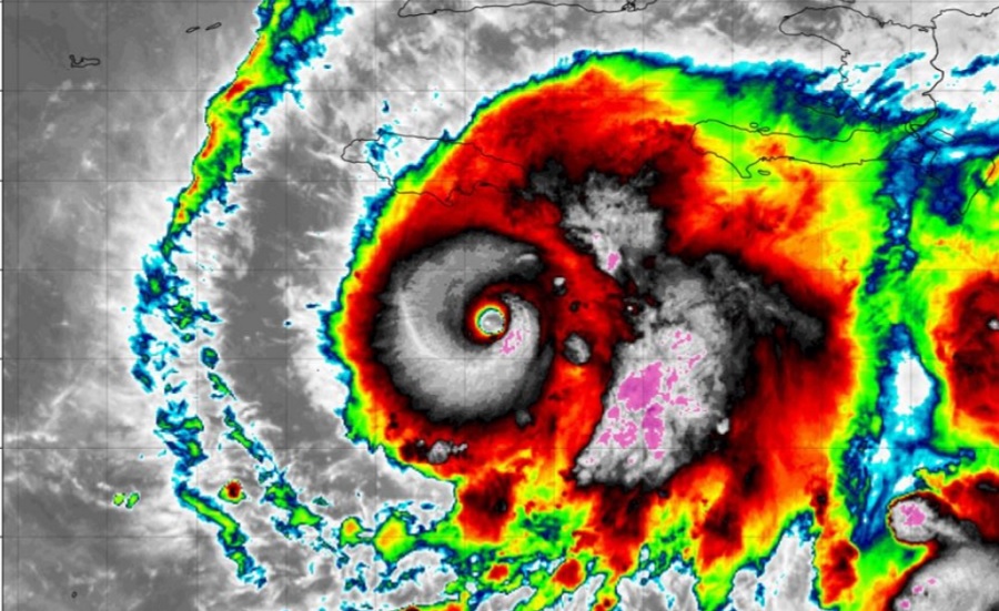
Los efectos del huracán Melissa, de categoría 5, golpean ya Jamaica con vientos catastróficos y lluvias torrenciales y se prevé que tocará tierra en esta isla las «próximas horas» manteniendo su intensidad extrema, informó este martes el Centro Nacional de Huracanes (NHC) de Estados Unidos.

Melissa se aproxima a la costa occidental de Jamaica con vientos sostenidos de 280 kilómetros por hora (175 millas por hora), lluvias torrenciales y marejadas que amenazan con provocar inundaciones y daños catastróficos, detalló.

El organismo meteorológico advirtió de que Melissa tocará tierra en las próximas horas, manteniendo su intensidad extrema antes de cruzar el sureste de Cuba el miércoles y llegar a las Bahamas el jueves.

TERRIFYING: Listen to the powerful winds slam Treasure Beach, Jamaica, as Hurricane Melissa closes in on the island. pic.twitter.com/8x88MOCHj6

— Breaking911 (@Breaking911) October 28, 2025

Las estaciones meteorológicas de Kingston y Montego Bay ya registran vientos sostenidos superiores a 60 kilómetros por hora (37 millas por hora) y ráfagas de hasta 93 kilómetros por hora (58 millas por hora), mientras un avión «Cazahuracanes» de la Fuerza Aérea de Estados Unidos se dirige al área para evaluar los daños y confirmar la intensidad del fenómeno.

A las 8:00 hora local de Miami, sede del NHC, el centro del ciclón se encontraba a 90 kilómetros (55 millas) al sur-sureste de Negril, en el extremo occidental de la isla, desplazándose hacia el nornoreste a 11 kilómetros por hora (7 millas por hora).

NoticiasRelacionadas

Grupo terrorista Hamás acusa a Israel de impedir búsqueda de 13 cuerpos de rehenes en Gaza

28 octubre 2025

Gobierno de Trinidad y Tobago ordena la deportación de 200 migrantes venezolanos

28 octubre 2025

El NHC mantiene alertas de huracán para toda Jamaica, las provincias orientales de Cuba -Granma, Santiago de Cuba, Guantánamo y Holguín-, así como para las Bahamas centrales y del sureste. Haití, Las Tunas (Cuba) y las islas Turcos y Caicos permanecen bajo aviso de tormenta tropical.

Las autoridades jamaicanas instaron a la población a permanecer en refugios seguros, ante la inminencia de vientos devastadores que podrían causar «fallos estructurales totales», especialmente en zonas montañosas donde las ráfagas pueden ser hasta un 30 % más fuertes.

Melissa ha generado lluvias acumuladas de entre 3,8 y 7,6 metros (15 a 30 pulgadas) sobre la isla, con máximos de hasta 10 metros (40 pulgadas), lo que provocará inundaciones repentinas y deslizamientos de tierra generalizados, según el NHC.

En el este de Cuba se esperan acumulaciones de hasta 6,3 metros (25 pulgadas), con riesgo de deslizamientos e inundaciones «potencialmente catastróficas», mientras que en el sureste de Bahamas y en Turcos y Caicos se prevén entre 1,2 y 2,5 metros (5 a 10 pulgadas) de lluvia entre martes y miércoles.

El ciclón también provocará una marejada ciclónica de entre 2,7 metros y 4 metros (9 a 13 pies) sobre el nivel del suelo en la costa sur de Jamaica, acompañada de olas grandes y destructivas, y de entre 2,10 y 3,35 metros (7 a 11 pies) en el sureste de Cuba.

El NHC advirtió además de que el fuerte oleaje generado por Melissa afectará durante varios días a Haití, Jamaica, Cuba, las Islas Caimán, las Bahamas, Turcos y Caicos y Bermudas, generando condiciones peligrosas en el mar y corrientes de resaca.

EFE

FacebookTwitterWhatsapp

Noticias Relacionadas

Mundo

Grupo terrorista Hamás acusa a Israel de impedir búsqueda de 13 cuerpos de rehenes en Gaza

28 octubre 2025
Mundo

Gobierno de Trinidad y Tobago ordena la deportación de 200 migrantes venezolanos

28 octubre 2025
Mundo

Mueren dos niñas por crecida de un río tras los efectos indirectos del huracán Melissa en Panamá

28 octubre 2025
Siguiente publicación

Devaluación sin freno: el dólar BCV aumentó 432 % en un año

Deportes

Foto Alejandro van Schermbeek vía LVBP

Balbino Fuenmayor explotó y se llevó el Jugador de la Semana de la LVBP 2025-2026

28 octubre 2025

Messi, Cristiano Ronaldo, Raphinha y Valverde, entre los finalistas del once de FIFPro 2025

27 octubre 2025

Foto @F1

F1: Lando Norris gana el GP de México y es nuevo líder, con un punto más que Oscar Piastri

27 octubre 2025

El «hablas mucho» de Carvajal y Vinícius a Lamine Yamal en el Clásico del Bernabéu

26 octubre 2025

Mundo

Grupo terrorista Hamás acusa a Israel de impedir búsqueda de 13 cuerpos de rehenes en Gaza

28 octubre 2025

Gobierno de Trinidad y Tobago ordena la deportación de 200 migrantes venezolanos

28 octubre 2025

Mueren dos niñas por crecida de un río tras los efectos indirectos del huracán Melissa en Panamá

28 octubre 2025

EE.UU. atacó cuatro «narcolanchas» en el Pacífico: 14 muertos y un sobreviviente

28 octubre 2025

  • Inicio
  • Presidenciales
  • Venezuela
  • Mundo
  • Negocios
  • Entretenimiento
  • Salud
  • Tecnología
  • Deporte

© 2020 Monitoreados - Todos los derechos reservados.

Sin resultados
Ver todos los resultados
  • Inicio
  • Presidenciales
  • Venezuela
  • Mundo
  • Negocios
  • Entretenimiento
  • Salud
  • Tecnología
  • Deporte

© 2020 Monitoreados - Todos los derechos reservados.